Обяви 0 За нас Контакти
Продава ПАРЦЕЛ
област Пловдив, с. Крумово
46 000 €
89 968.18 лв.

(64 €, 125.17 лв./m2)
Цената е с включено ДДС
История на цената
Коригирана в 16:29 на 11 май, 2026 год.
Обявата е посетена 168 пъти.
Площ:
714 m2
Регулация:
ДА

Описание на имота:


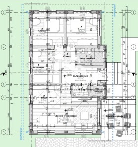
БИЛДИНГ БОКС предлага за продажба 4 бр. УПИ с ток, вода, ограда, разрешение за строеж и проект за едноетажна къща в с. Крумово, само на минути от гр. Пловдив.

Възможност веднага да започнете строеж, отлични параметри и реален потенциал за развитие, разположени в предпочитана зона.
Основни параметри на имотите:
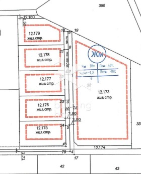
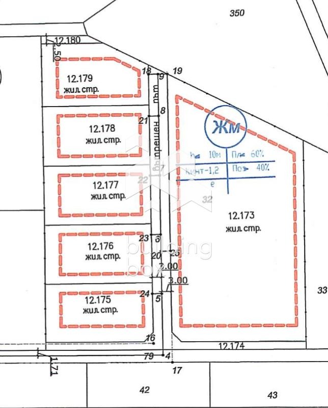
Площ: 641 кв. м (чиста площ), 73 кв. м път, общо 714 кв. м
Лице към път: 19 м
На 300 метра от асфалтирана улица, с достъп по чакълирана улица. Пред парцелите трошен асфалт.
Ток, вода, ограда, разрешение за строеж и проект за едноетажна къща.
Всеки от парцелите е ограден.
Общо 4 имота: Има възможност за придобиване на два или повече съседни имота, което позволява обединяване на парцелите и реализиране на по-мащабен проект според нуждите на бъдещия собственик или инвеститор.
Подходящи за:
Изграждане на еднофамилна къща за постоянно живеене
Реализация на инвестиционен проект
Обединяване на парцели и създаване на по-голям жилищен или бутиков комплекс
Имотите предлагат отличен баланс между пространство и възможност за дългосрочно развитие все по-търсена комбинация в близост до Пловдив.

БИЛДИНГ БОКС осигурява безплатна консултация и съдействие при кредитиране за покупка на имот.
Оферта 31404
За контакт:
0877190777
Брокер:
БИЛДИНГ БОКС Пловдив
0877190777
Офис: гр. Пловдив
Още оферти от брокера: Продава | Дава под наем | Купува | Наема
Агенция:
БИЛДИНГ БОКС
0877734412
БИЛДИНГ БОКС logo
Медал за прослужено време
В imot.bg от 2013 г.
buildingbox.imot.bg
Адрес:
област София, гр. София, София ЕИК207674103
ИЗПРАТИ ЗАПИТВАНЕ
ИЗПРАТИ ЗАПИТВАНЕТО

Продава ПАРЦЕЛ
област Пловдив, с. Крумово
Обява: 1r177546573516969

46 000 €
89 968.18 лв.
История на цената
(64 €, 125.17 лв./m2)

Цената е с включено ДДС
ЗАПАЗИ ОБЯВАТА

Местоположение: област Пловдив, с. Крумово